
Bauernhaus zum kaufen in Schliengen
Denkmalgeschütztes Haus, § 2 Denkmalschutz
auf der Karte ansehenUmzugskosten berechnen
- Kaufpreis
- 162.500 €
- Zimmer
- 2
- Fläche
- 75 m²
7 Aufrufe
Objekt-ID: 39243274
| Objekttyp: | Bauernhaus |
| Zimmer: | 2 |
| Größe: | 75.00 m² |
| Grundstücksfläche: | 629,00 m² |
| Verfügbar ab: | nach Vereinbarung |
Preise & Kosten
| Kaufpreis: | 162.500 € |
| Jetzt kostenlos Finanzierungsangebot anfragen! | |
| Provision: | Ja |
| Preis/m²: | 2.166,67 € |
| Mit Immobilienpreisen Schliengen vergleichen | |
Immobilie
Keller
| Befeuerungsart: | Öl |
| Energieausweis: | Energieausweis nicht notwendig (Denkmalschutz) |
Objektbeschreibung
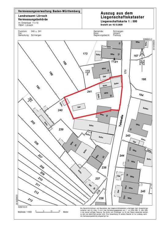
Das Grundstück liegt am Ortsrand.
Die Gesamtfläche des Grundstücks beträgt 629 m².
Im hinteren Teil schliesst sich der Garten, zum Hang, hin an.
Am Haus ist eine Scheune / Nebengebäude angebaut.
Die Immobilie inklusive der Scheune / des Nebengebäudes sind sanierungsbedürftig.
Das Grundstück Flurstücknummer 240 hat das Flurstücknummer 241 zu einem kleinen Teil überbaut.
Es folgt hier noch eine Neuvermessung der Grundstücke durch die Eigentümer.
Die Gesamtfläche des Grundstücks beträgt 629 m².
Im hinteren Teil schliesst sich der Garten, zum Hang, hin an.
Am Haus ist eine Scheune / Nebengebäude angebaut.
Die Immobilie inklusive der Scheune / des Nebengebäudes sind sanierungsbedürftig.
Das Grundstück Flurstücknummer 240 hat das Flurstücknummer 241 zu einem kleinen Teil überbaut.
Es folgt hier noch eine Neuvermessung der Grundstücke durch die Eigentümer.
Lage
Talstrasse79418 Schliengen
Schliengen
Der aktuelle durchschnittliche Quadratmeterpreis beträgt 3.559,32 €/m² in Schliengen.
Mit Immobilienpreisen
Schliengen vergleichen
Was kostet dein Umzug?
Du planst einen Umzug? Finde jetzt die günstigste Umzugsfirma in deiner Region!
Umzugskosten berechnen Schütze dich vor Betrug!
Leiste keinerlei Zahlung im Vorraus!
Beachte unsere Sicherheitshinweise zum Thema Immobilienbetrug und lies, woran du solche Anzeigen erkennen kannst und wie du dich vor Betrügern schützt.
Anzeige melden Beachte unsere Sicherheitshinweise zum Thema Immobilienbetrug und lies, woran du solche Anzeigen erkennen kannst und wie du dich vor Betrügern schützt.
*Anzeige
Ähnliche Häuser bei ImmoScout24
Schliengen
- Kaufpreis
- 115.000 €
- Zimmer
- 2 Zi.
- Fläche
- 65 Zi.
Anbieter
Weitere Ergebnisse für:
Wohnungen
Schliengen;
Immobilien
Schliengen;
Haus mieten
Schliengen;
WG Zimmer
Schliengen;
Wohnung
Schliengen kaufen;
Haus kaufen
Schliengen;
Immobilienpreise
Schliengen Mietspiegel
Schliengen wohnungsboerse.net übernimmt keine Gewähr für von Dritten gemachte Angaben